Acesse a Nota Fiscal de Entrada de Mercadorias conforme imagem abaixo.

É possível visualizar todas as Notas já cadastradas pela listagem ou através dos filtros, conforme imagem abaixo.

Para criar uma nova nota, clique no botão "NOVO".
Há sete formas de dar entrada em nota fiscal.
1 - Manualmente
Para dar entrada em uma nota de forma manual, basta clicar no botão "Novo" e preencher todos os campos em todas as abas de forma manual.
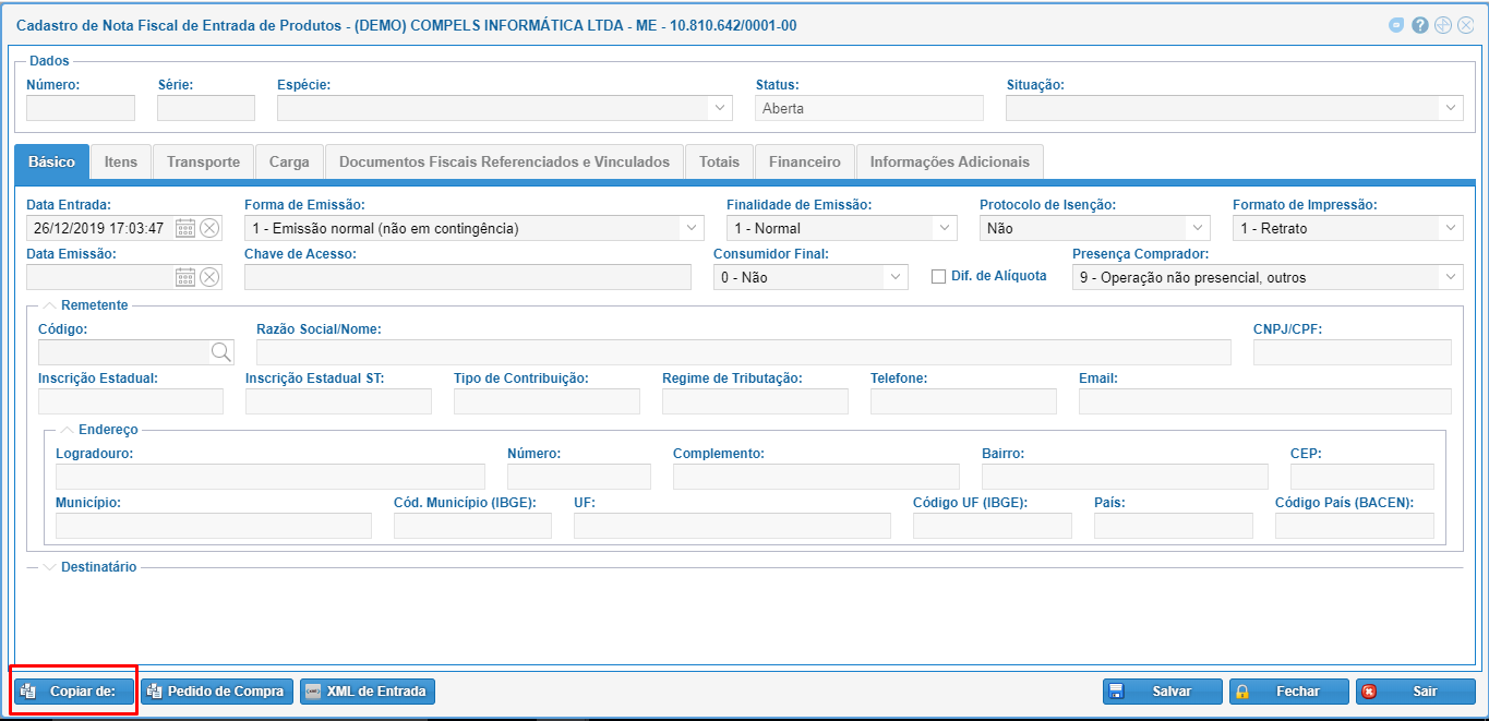
2 - Botão "Copiar de:"
Utilizando o botão "COPIAR DE", pode-se criar uma nova nota de entrada copiando de outra nota, puxando assim as mesmas informações da nota que foi copiada.

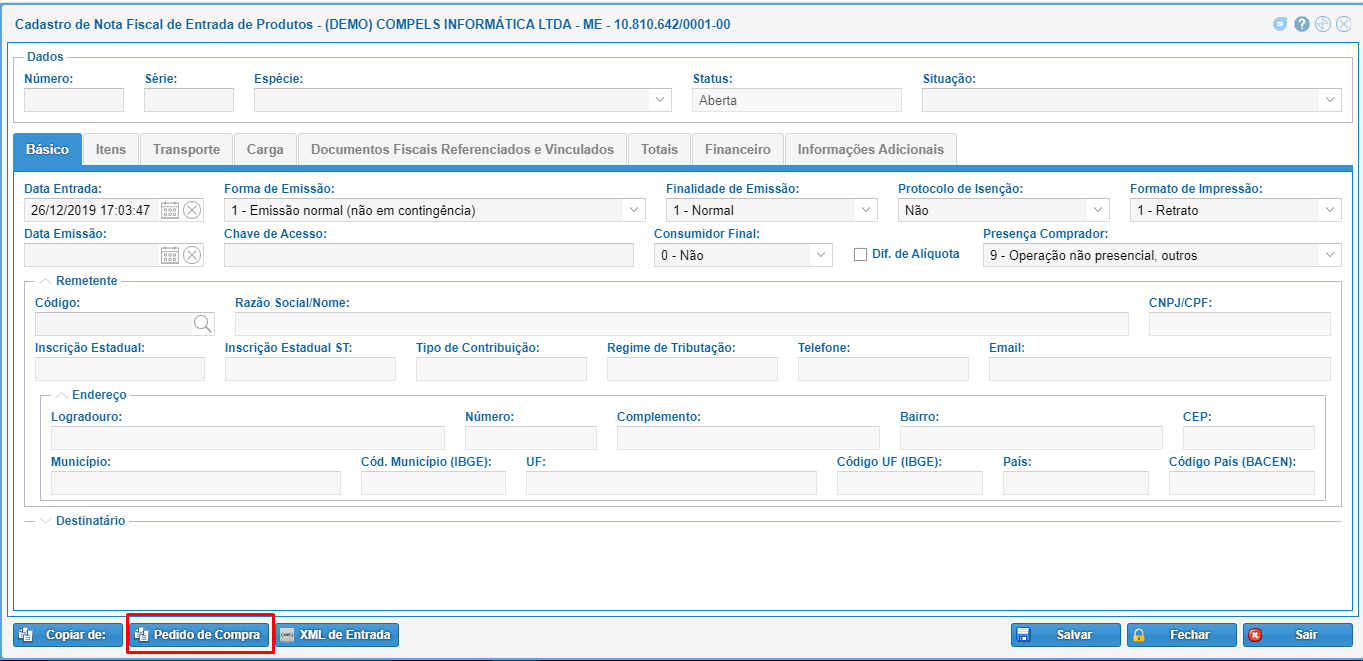
3 - Pedido de compra
Utilizando o botão "Pedido de Compra", pode-se criar uma nova nota de entrada puxando dados de um pedido de compra previamente cadastrado e aprovado no sistema.

4 - XML de Entrada
Utilizando o botão "XML de Entrada", é possível importar uma nota de entrada de três formas que são: Upload de Arquivo, Chave de Acesso e Manifestação.
5 - Upload de Arquivo
Com o arquivo XML em seu computador, clique em "Selecionar" e importe o arquivo para o sistema.
Ao importar, os itens da nota serão mostrados bem como o Emitente (Fornecedor). Após aparecer essas informações, vincule o item cadastrado no sistema ao item que veio na nota, selecione o COC de entrada, selecione os itens que deverão entrar com esse COC e clique em atualizar para aplicar esse COC aos itens.
6 - Chave de Acesso
Selecione a opção "Chave de Acesso" e utilizando um leitor de código de barras ou digitando, insira o código de barras no campo destacado na imagem abaixo e a nota referente ao código de barras inserido será importada. Antes de importar aparecerá uma mensagem para realizar a Ciência da Operação e ao clicar em "Sim", a nota será importada.
Ao importar, os itens da nota serão mostrados bem como o Emitente (Fornecedor). Após aparecer essas informações, vincule o item cadastrado no sistema ao item que veio na nota, selecione o COC de entrada, selecione os itens que deverão entrar com esse COC e clique em atualizar para aplicar esse COC aos itens.
7 - Manifestação
Clique aqui para verificar o manual de manifestação.
Pontos Importantes
Vale ressaltar que, após a nota ser importada por alguns dos meios colocados acima, é importante a conferência dessa nota afim de confirmar se tudo está certo. Segue abaixo uma instrução específica para a aba "Financeiro" da nota de entrada.

Meio de Pagamento
Para inserir um meio de pagamento, clique no botão "Novo". Ao clicar, informe o Meio de Pagamento, o Tipo de Cobrança, o Convênio (para pagamentos em cartão) e a condição de pagamento. Segue abaixo um exemplo com meio de pagamento " 15 - Boleto Bancário".
* Condição de Pagamento: esta informação será preenchida automaticamente se no Cadastro do Negociante (Fornecedor) já estiver definida uma condição.

Ao inserir o Meio de pagamento, os campos como: Valor de Referência, Sem Pagamento (para notas sem pagamento) serão preenchidos automaticamente.
Desconto: Campo para inserir um valor de desconto, que será aplicado ao valor final.
Botão Calcular: Caso exista somente um lançamento "com pagamento", os valores e as datas das parcelas serão atualizados de acordo com a condição de pagamento. Caso exista mais de um lançamento "com pagamento", somente as datas das parcelas serão atualizadas de acordo com a condição de pagamento.
Observações: campo informativo para controle interno da empresa. Se a Nota foi copiada de um Pedido de Vende, neste campo será preenchido com a informação de Original do Pedido de Venda xxx.
As datas de vencimento da Condição de Pagamento poderão ser alteradas se excluirmos a Condição de Pagamento e não limpar as parcelas.

